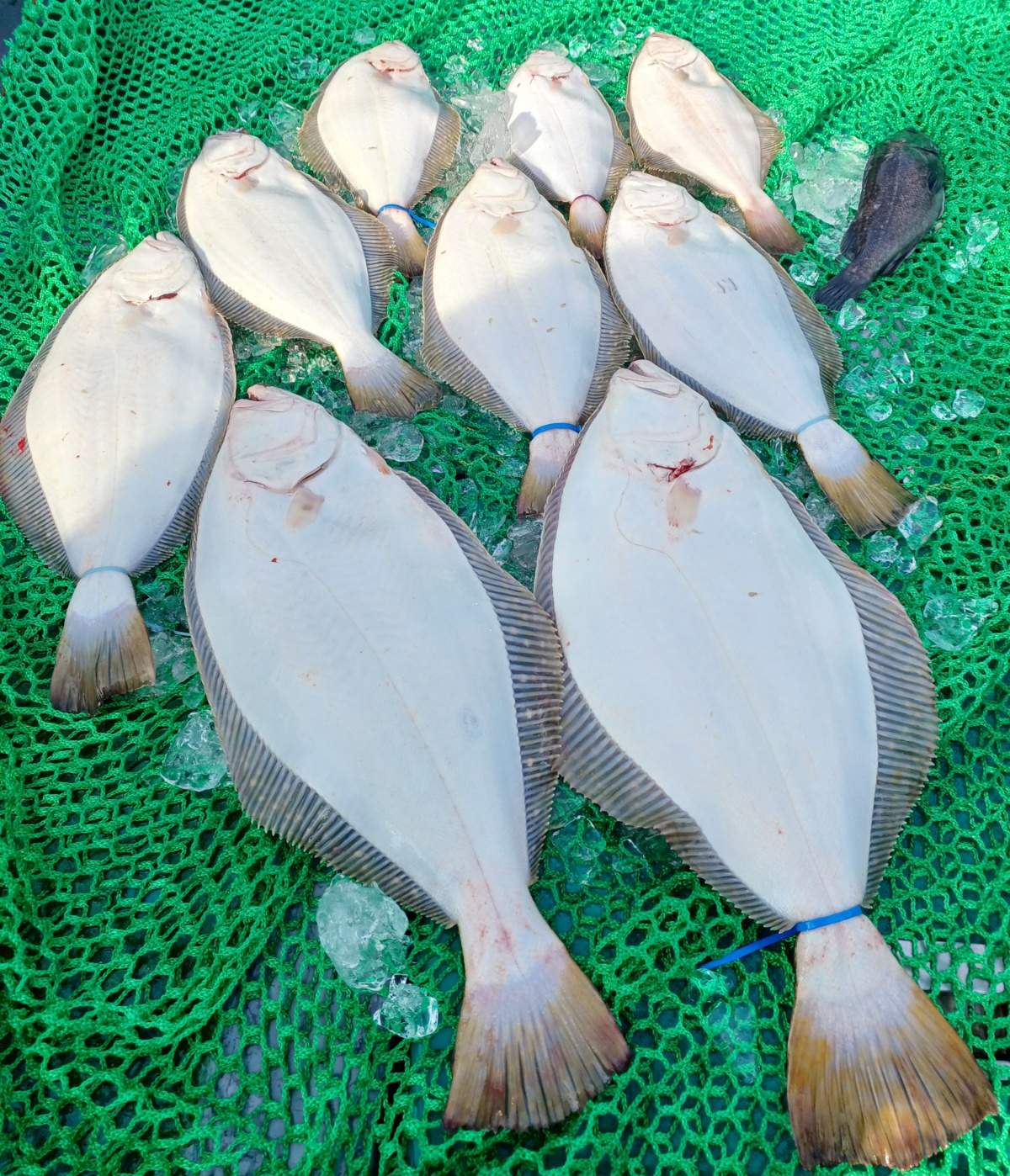
오늘 6분 조사님들과 광어우럭 다운샷 다녀왔습니다.
첫광어 이벤트는 계속됩니다
소소이벤트도 진행합니다.
조황이 부족하지만 서로의 나눔으로 빈손으로 가신분은 없네요 죄송스럽고 감사합니다.
간단한 피빼기 작업후 횟감이 무르지 않게 얼음으로 꽉채워 드렸습니다
오늘도 은갈매기호는 매니저님표 떡만두국을 제공했습니다.
2023년9월2일 오천항 푸른바다피싱 은…
푸른바다호 488
2023년 8원 27일 오천항 푸른바다피…
푸른바다호 486
2023년5월20일 일요일 오천항 푸른바…
푸른바다호 416
2023년8월15일화요일 오천항 푸른바다…
푸른바다호 595
2023년8월12일토요일 오천항 푸른바다…
푸른바다호 615
2023년 7월29일 토요일 오천항 푸른…
푸른바다호 521
2023년7월16일 일요일 오천항 푸른바…
푸른바다호 543
2023년7월8일 은갈매기호 백조기 출조…
푸른바다호 628
2023년 6월24일 토요일 다잡아외수질…
푸른바다호 1,069
2023년6월17일 토요일 오천항푸른바다…
푸른바다호 1,182
2023년6월11일 일요일 은갈매기호 다…
푸른바다호 828
2023년6월10일 은갈매기호 다잡아 외…
푸른바다호 832
2023년6월6일 현충일 은갈매기호 광어…
푸른바다호 1,233
2023년6월4일 일요일 #오천항푸른바다…
푸른바다호 1,159
2023년6월3일 토요일 #오천항 푸른바…
푸른바다호 815
2023년5월27일 은갈매기호 (9분)광…
푸른바다호 870
2023년5월26일 금요일 은갈매기호 다…
푸른바다호 1,272
2023년5월21일 일요일 은갈매기호 대…
푸른바다호 1 1,307
2023년5월20일 토요일 은갈매기호 대…
푸른바다호 1 1,253
은갈매기호 실시간입니다
푸른바다호 1,370