2018. 5. 11.
실시간으로 올려드리는 조황소식!
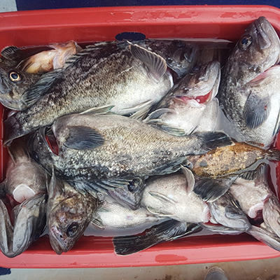
오늘(11일) 우럭 출조가 있었습니다~~
올 처음으로 출조하셔서 재미들 보셨네요!
요즘 우럭들이 튼실한것이 많이 잡히네요!
우럭회도 쫄깃하고~ 담백하니
맛도 끝내줘요~~~~
우럭 매운탕은 말할 것도 없구요~
놀래미 회맛도 아주그냥~~~~!!
이제 시즌이 왔네요 왔어요!!
우럭, 광어, 놀래미 낚시하러 오세요~~~
오늘도 고생하셨습니다
다음에 또 뵙겠습니다!
[푸른바다3호] 5월 25일 조황소식입니…
푸른바다호 4,941
[푸른바다2호] 5월 24일 조황소식입니…
푸른바다호 2 5,238
[오션투어] 5월 22일 조황소식입니다
푸른바다호 5,099
[푸른바다3호] 5월 22일 조황소식입니…
푸른바다호 4,802
[푸른바다1호] 5월 20일 조황소식입니…
푸른바다호 4,339
[푸른바다2호] 5월 11일 조황소식입니…
푸른바다호 4,609
[푸른바다3호] 5월 10일 조황소식입니…
푸른바다호 5,109
[푸른바다3호] 5월 8일 조황소식입니다…
푸른바다호 5,579
[푸른바다3호] 5월 1일 조황소식입니다…
푸른바다호 4,564
[푸른바다3호] 4월 30일 조황소식입니…
푸른바다호 5,622
[푸른바다3호] 4월 29일 조황소식입니…
푸른바다호 4,913
[푸른바다3호] 4월 25일 조황소식입니…
푸른바다호 5,960
[푸른바다3호] 광어 다운샷~ 4월 첫출…
푸른바다호 5,246