안녕하세여~
푸른바다5호 짤선장 오랫만에 인사 드립니다~~_ _)꾸벅~~
오늘은 뻘물때문에 11분에 회원님들을 모시고 멀리 달려보지만...
바다가 온통 뻘물이라....우럭도 ...쉽지 않은상황에서~~
간간히 우럭 나오다가 농어 2마리 히트~~~(한분이 다 잡으셧음;;)
하지만 많이 나오진않아,.,계속 이동이동~~~
한군대 짧은 구간에서 우럭이 잘나와 잡다가 다시이동~~
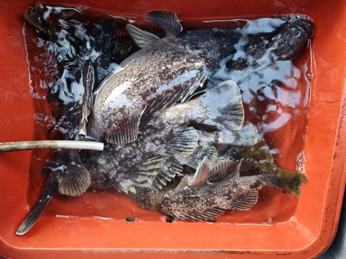
음 광어가 얼글을 보여주어 몃마리잡고 20분 이동하여 한군대서~~
우럭이 잘나와~그나마 먹을만큼 잡은거 같네여~
총조과 광어8마리 농어 2마리 우럭 먹을만큼 잡고 늦게 입항~~
함께하신 회원님들 고생 많으셧습니다~^^

























