안녕하세여~
겨울 비수기라 간만에 출항한 푸른바다5호 짤선장 인사드립니다~_ _)꾸벅~
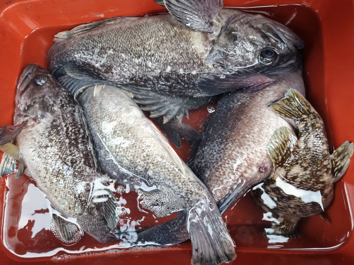
오랫만에 출항이라 걱정반 기대반으로 13분에 회원님들을 모시고 출항했는대~
참우럭이 많이 나왔구..돌우럭은 몃마리 광어는 한마리 방생하고 11마리~~잡았는대~
생각외로~~다들 먹을만큼 잡아가서 다행이였네여~~^^;
함께하신 회원님들 추운날씨에 고생 많으셧습니다~~^^
[푸른바다 7호] 9월 3일 쭈꾸미 갑오…
푸른바다호 993
[테스호] 9월 3일 쭈꾸미 갑오징어 출…
푸른바다호 922
[테스호] 9월 2일 쭈꾸미 갑오징어 출…
푸른바다호 827
[푸른바다 7호] 9월 2일 쭈꾸미 갑오…
푸른바다호 825
[테스호] 9월 1일 쭈꾸미 갑오징어 첫…
푸른바다호 858
[푸른바다 7호] 9월 1일 쭈꾸미 갑오…
푸른바다호 914
테스호 참돔 짬낚시 조황~
푸른바다호 1,654
[[푸바5호]] 2022년 1월 8일 짤…
푸른바다호 1,537
[[푸바5호]] 2021년 12월 22일…
푸른바다호 1,179
[[푸바5호]] 2021년 11월 28일…
푸른바다호 1,225
༺ৡۣ꧁푸른바다7호꧂ۣৡ༻ 21.11.2…
푸른바다호 1,130
[[푸바5호]] 2021년 11월 27일…
푸른바다호 1,268
[[푸바5호]] 2021년 11월 21일…
푸른바다호 1,224
푸른바다호 1,305
[[푸바5호]] 2021년 11월 15일…
푸른바다호 1,287
[[푸바5호]] 2021년 11월 14일…
푸른바다호 1,257
[[푸바5호]] 2021년 11월 13일…
푸른바다호 1,263
[아아 테스호~!]11월 2일 유상록님 …
푸른바다호 1,410
༺ৡۣ꧁푸른바다7호꧂ۣৡ༻ 21.11.0…
푸른바다호 1,536
[[푸바5호]] 2021년 11월 7일 …
푸른바다호 1,401